Re: MCS automático Ubiquiti
TODOS os fabricantes aconselham NÃO mexer na configuração , de automatico para manual. Porem naquelas situaçoes de baixo nivel de sinal (ou pobre S/N)compensa fixar o MCS para a faixa mais baixa e permitir ao radio operar com maior potencia de saida para superar a margem de ruido.
A grande dificuldade de deixar fixo o MCS é que as condiçoes de contorno (clima, interferenças, etc) variam demais em ambientes externos, e que a melhor condição que voce pode conseguir configurando manualmente, pode mudar de repente e o radio nao vai conseguir acompanhar os ajustes, e dai , a performance promedio fica comprometida. De fato isso acontece demais.
Um conceito que é bom saber é: Todo sistema de comunicação tem compromiso entre a velocidade e a potencia transmitida. Quando maior a potencia de saida , menor velocidade. Dessa condição é facil concluir que quando voce tem baixa relação S/N o melhor a fazer é aumentar a potencia transmitida e para isso deve diminuir o datarate a MCS 0 - 2 em single stream (airgrid) ou MCS 8 - 10 para double stream (LOCOM5, SXT, etc).
Tambem existe uma vantagem para os MCS 0a 2 e MCS 8 a 10 , é radica em que eles operam em modulação BPSK e QPSK que são proprias para ambientes "ruidosos".
Re: MCS automático Ubiquiti
Bom dia!
Emilidani, muito obrigado pela resposta. Nossa rede sofre muita interferência, geralmente instalações com Noise Floor -88. Já efetue Airview varias vezes até encontrar as melhores frequência de trabalho. É muito difícil o respeito entre provedores, uma das causas é a falta de informação, e conhecimento. Pelo Airview, vejo provedores fora da faixa de licenciada. Até entendo o porquê.
Enfim, minha preocupação ao setar manualmente o ST, é fato de que a nossa situação atual está em AUTO, o AP negocia até achar o MCS atraente, justamente por isso que ele chega no MCS 0 a 3 e ocasionar as reclamações de lentidão. Mas se eu setar MCS 0, teoriacamente estarei informando que o painel deve negociar com ele no 0, estaria prejudicando os outros STs (AUTO) que negociam em 4 - 7 ? Ou, teria que setar manualmente todos em MCS alto, como 5, 6 ou até mesmo 7?
1 Anexo(s)
Re: MCS automático Ubiquiti
Eu vou pelo caminho contrário, se setup fosse feito pra ficar no default ele não seria alteravel, se ele não existisse o fabricante ia economizar hardware por não precisar um servidor nginx como http server pra alterar dados. Pode se alterar tudo via SSH/Telnet, SE alterações do tipo fossem coisa de usuário avançado não existiria um setup simplório/bobo/resumido via http, se alterações tipo datarate fossem coisa pra usuário avançado isso não estaria presente no setup http mas apenas via telnet. Só que é o contrário, hoje via telnet não se altera mais nada, é tudo via http, pra que qualquer um consiga alterar o setup.
Então só recomendo deixar no default se for dona-de-casa.
O problema do modo automático é a incompetencia do software em selecionar o melhor datarate, o padrão de comportamento é usar o maios datarate possível, e a decisão por "baixar" um datarate depende de 3 perdas consecutívas de pacotes, se passar o dia todo perdendo 2 e dando certo no terceiro o software é burro o suficiente pra ficar insistindo no datarate problemático. Isso só funciona em ambientes muito limpos, que acho que só existem em laboratório ou no interior.
(E mesmo aqui no interior tem rádio burro o suficiente pra usar MCS7 quando tem sinal ridículo tipo -70dBm, tem 30% de CCQ mas o burro do software insiste em MCS7, aí você vai e fixa em MCS4 e o CCQ vai pra 100%, o ping perde o jitter, e passa até mais banda)
Se tem ruído em -88dBm, seu problema pode ser SNR baixo. O SNR mínimo pra uma taxa de bit error rate tipo 99,999% é algo tipo 6dBm de SNR pra uma taxa de ocupação tipo 3,25 bits por Hertz (65Mbps em 20MHz), mas... isso é conta que não leva em conta reflexos e ruídos, a conta boba ora é 10 log10 vezes sinal divido por ruído, ora é 20 log10 vezes sinal dividido por ruído, nunca ví consenso nesse cálculo.
Então na prática tem muita tabela de SNR mínimo a seguir, ó um exemplo:
Anexo 59402
Dá uma googlada por minimum snr values for wifi ou algo assim.
Então se quiser respeitar isso em digamos MCS3, se o ruído é -88 vai precisa sinal maior que -66dBm (-88 + 22 = -66). Por acabo acho que MCS3 fica bom com sinais entre -55 e -65dBm mesmo, perfeito.
Por outro lado também poderia levar em conta uma margem entre sinal presente e a sensibilidade do datarate. Uma margem de 20dBm é bem suficiente. Por exemplo, usando MCS3 em equipamento Mikrotik ou Ubiquiti, em 5GHz eles tem sensibilidade em MCS3 na casa dos -84dBm. Uma margem de 20dB diz então que sinal adequado pra ter 100% de CCQ nesse datarate é -64dBm ou maior (-63, -62, -61, etc).
Cada datarate tem sensibilidade diferente, cada datarate exige um SNR diferente, cada datarate tem uma taxa de ocupação (bits por herz) diferente, então é natural que cada datarate precisa um nível de sinal diferente, datarate mais alto precisa sinal mais alto, além do SNR maior.
Tendo painel setorial Airmax 191dBi, e clientes com Airgrid, acho mais fácil ter sinal ALTO demais do que baixo demais (Afinal com 27dBm EIRP dá pra atender com folga clientes a 3Km usando Airgrid). Como está o nível do sinal dos clientes?
Se quer usar MCS4 na torre (Recomendo ele, 16QAM faz milagres) vai precisar chegar nos clientes com sinal acima de -66dBm (Já que a sensibilidade dos Airgrid em MCS4 é -86dBm, aplicando 20dBm de margem dá -66, que por acaso dá 22dBm de SNR conforme a tabela genérica que enviei (Que não é minha).
Já nos clientes não precisa fixar em MCS4, não há lucro nisso, o upload vendido deve ser coisa pouca tipo 1Mbps, então os clientes poderia fixar em MCS1, nesse datarate baixo o throughput passa da casa dos 6Mbps, e o SNR necessaria seria 17dBm, se o ruído está em -88, uma margem de 17dB sobre isso diz que o sinal cliente > torre poderia ser até -71dBm. Se for olhar pelo lado da margem de sinal, em MCS1 a sensibilidade nos Rocket está na casa dos -94dBm, uma margem de 20dB indica que o sinal mínimo seria -74dBm, ter -71dBm é ainda melhor.
Poderia arredondar:
Torre em MCS4 > cliente = Sinal entre -55 e -65dBm
Cliente em MCS1 > Torre = Sinal entre -60 e -70dBm
Que dá pra ter 100% de CCQ assim, isso dá.
(E lembra que o firmware segue regulamentação, se usar canal ilegal tipo 5180 a 5320MHz o firmware vai limitar potencia, e se deixar o "Auto adjust to EIRP limit" o ajuste de potencia não faz efeito, você pode fazer o cliente chegar na torre com qualquer sinal e ack-timeout se precisar, se nivelar todos os clientes ajustando potencia e ack conforme a distancia terá um Rocket gastando sempre o mesmo tempo com todos os clientes, sem um ter ping bom e outro ruim)
Se quer usar datarate maior provavelmente vai precisar sinal maior, se no modo automático o datarate está ficando em MCS3 imagino que seus sinais estejam na casa dos -70dBm, que com basestation 19dBi acho que significa clientes a 5 ou 8Km (Ou algum problema na configurações, tipo usar canal indevido de 5180 a 5320MHz ou algo do tipo), alias... os cliente tem zona de fresnel limpa? No mundo leigo as vezes corre o boato bobo que 5GHz não tem zona de fresnel, e tem muito anteneiro burro colocando CPE 1 palmo acima do telhado, com 10% da zona de fresnel limpa, aí o sinal cai e o CCQ fica lá em baixo, com esse tipo de instalação não tem configuração manual que faça milagre.
(É justamente o contrário, o uso de datarates automaticos exige instalações muito melhores, com 200% da zona de fresnel limpa. Onde não dá pra seguir isso o jeito é configuração manual, o setup está lá pra ser alterado)
Re: MCS automático Ubiquiti
boa tarde rubem, tenho um problema de ccq na minha rede também utilizo rocket m5 com omini direcional peguei o canal mais limpo e com isso ainda to com sinal de 56dbm em uma nanobridge mais meu ccq esta com 76% nao tem fresnel obstruido nada essa é minha antena a dos ouros clientes estão do mesmo jeito, o estranho é que a noite todos ccqs sobem tudo acima de 93% e durante o dia cai já fiz as mudanças de mcs que disse entre outras configurações e mesmo assim o ccq nao sobe com isso acho que é interferência voce concorda?
Re: MCS automático Ubiquiti
A omni é uma comum?
Ou é a 5G10 ou 5G13 da Ubiquiti?
Porque omni tem um desempenho meia-boca, não pra derrubar o CCQ pra 76% (Acho que ia baixar pra 98% onde com setorial teria 100%), mas se juntar um monte de fatores dá pra colocar culpa da omni.
O fator principal seria reflexo. Omni manda pra todo lado e recebe de volta os próprios reflexos de todo lado, potencia alta tipo mais que 30 a 35dBm EIRP acho que atrapalha mais que ajuda quando tem algo do lado da omni, a poucos metros, ou em angulo que permita reflexo voltar em cheio pra omni.
Se de dia fica ruim, não tem telhado metalico no caminho? Tive loja do lado de um galpão com telhado de zinco e o acesso sobre esse telhado de tarde era quase impossível mesmo com 100% da zona de fresnel limpa, mas... ficava nuns 150% da zona de fresnel, sinal tipo -60dBm e o Winbox caia a cada 20 segundos.
(Cheguei a filmar aquela ondulação que o calor cria na imagem, com camera que filmava 120fps, só pra ver em camera lenta, pena que não guardei isso, mas era tipo onda do mar, distorção total da luz por calor, em RF deve acontecer o mesmo)
Ou será que não tem nenhum AP potente em comercio na vizinhança? Dá uma boa desconfiada de tudo eletrico ou eletronico que é ligado em horario comercial (Já tive problema por ar-condicionado, sala vizinha da torre um ar antigo e grande tinha problema no capacitor de partida por isso derrubava a rede, notei que em dias frios ou fins de semana o problema não existia então fui ver o que tinha na vizinhança).
Também dá pra desconfiar de 1 (um) cliente criando esse problemão, quando ele desconecta o problema some. Tem CPe problemática que cria isso.
Eu não acredito muito em ruído perene porque trocando de canal você tem que ter CCQ's diferentes, num canal sabidamente ruim (Onde escanear muito SSID) o CCQ tem que cair ainda mais, e num canal mais limpo ele tem que melhorar um pouco. Se nada muda quando troca de canal então o problema não deve ser poluição. Não está com DFS desativado? Ele é obrigatório pra 5,4 a 5,6GHz. Não está usando 5180 a 5320MHz? Ela não é permitida pra uso outdoor, ela recebe em cheio a primeira harmonica de 4G (LTE 2,6GHz da Sky). Se usar apenas equipto UBNT teste ativar o channel shifting (Pra subir todos os canais em 5MHz) e selecione o canal mais alto, de 5825MHz, com esses 5MHz acima o centro passa pra 5830MHz, teria 5MHz limpo no fim da faixa onde outros provedores não estarão usando (Preferem ocupar o que não pode, tipo 5180MHz, mas deixam o finzinho dos 5850MHz sem uso).
Ou será que não é uma antena incomodando a outra? Tipo omni e CPE posicionadas a menos de 1m uma da outra.
Por isso falo pra dar um mechidinha em antena, tem reflexo (Efeito multipath) que por casamento perfeito de distancia tem sinal alto, ao mexer 2cm pro lado o casamento vai pro espaço (Porque a onda de 5800MHz tem comprimento de 52 mm), é tipo o posicionamento exato que um dipolo precisa na frente de uma parabolica, 1cm pro lado e o sinal cai 30dBm, a parabolica nada mais é que um refletor, a torre ou um mastro (Ou caixa metalica) podem ser comportar como refletores.
Alias, agora que falei em caixa, não tem cabo de AC, ou de rede ethernet, perto demais da parte de RF do Rocket? Ou fonte chaveada?
Posicionamento bom pra isso seria mais de 50cm se for fonte boa, na duvida afasta 1m pelo menos.
(Mas omni de outra CPE eu afastaria ainda mais, uns 3m)
1 Anexo(s)
Re: MCS automático Ubiquiti
Hum, você é dos raros casos que faz boas instalações então, parabéns.
Sobre o SNR e RSSI, são numeros diferentes.
O SNR é a relação sinal-ruído simples, ruído a -90dBm e sinal a -70dBm dá uma relação/folga/distância de 20dBm. Isso é um SNR de 20dBm.
SNR não é confiável porque porque é complicado definir o que é ruído (SSID no canal atrapalha muito, mas não é ruído), fora que o ruído em sí varia muito.
Exemplo de ruído (noise floor) variando de -90 a -100dBm em algum momento:
Anexo 59453
O limiar exato entre o que é ruído e o que é sinal da vizinhança é complicado, são muitos sinais baixos que juntos formam um ruído de fundo (Tipo chiado).
O RSSI não leva ruído em conta, o RSSI é um indicador de força de sinal recebida (Tradução livre), a medida é feita com o nível de sinal depois do conversor analógico-digital, então pode ter um ruído analógico gigante que o RSSI não será afetado.
O RSSI é bagunçado, cada fabricante usa de um jeito, geralmente vai de 0 a 100, mas a vezes vai a 120 ou algo assim.
Geralmente o RSSI em 1 significa algo tipo 1% acima da sensibilidade minima, e em 100 significa o sinal mais alto possível (100% da potência possível), não há padronização se digamos um RSSI de 40 indica 40dBm de margem (Sensibilidade em -80dBm, sinal em -40dBm, margem de 40), geralmente RSSI abaixo de 30 não dá conexão boa.
Eu ODEIO equipto pra noobs que mostra RSSI, não é padronizado, num equipto um RSSI de 35 dá throughput excelente, no outro fabricante (No mesmo lugar) um RSSI de 50 dá throughput menor.
Sobre seu problema de poluição, se a concorrência é besta de usar 40MHz (E provavelmente pra planinhos pequenos tipo 1 a 5Mbps, onde 20MHz dá e sobra), cada AP deles polui 2 canais em potencial pra você, isso diminui muito o espectro usável, eu chamo de idiota quem usa 40MHz sem ser pra trafego acima de 50Mbps (Por setorial ou PTP) por isso, poluem o espectro por incompetência.
O teste pra mim devia ser: Anotar CCQ's dos clientes e mudar de canal, se o CCQ continuar o mesmo então o problema não deve ser poluição no canal, cada canal deve ter poluição diferente. O normal quando se faz isso é notar que nos clientes "pra aquele lado" o CCQ é maior no canal 5725", e "pra aquele outro lado os CCQ são um pouco melhores em 5570". Medir poluição apenas na torre pode não ajudar, porque "depois" da sua torre pode ter uma setorial (De costas pra sua torre, e pras costas tem setorial que isola 35dBm, ou seja, manda 36dBm pra frente, e 1dBm pra tras), e seus clientes captem ela com 30dBm a mais do que você capta, você escaneia ela em -89dBm, e seus clientes pegam ela em -54dBm, -89dBm a CPE ignora, mas -54dBm ela TEM QUE analisar antes de descartar).
Poluição incomoda muito mesmo, não sei de nada muito mágico além de testar canais diferentes (E quem usa canal em "auto" tem troca automática de canal, isso te ferra, você acha um canal limpo, muda pra lá, e logo algum vizinho em canal adjacente troca automaticamente, e há uma reação em cadeia de troca de canais que pode voltar a poluir o novo canal que você selecionou).
Mas... cliente com CPE defeituosa ou firmware corrompido atrapalha tanto quanto canal poluído, o jeito de verificar isso é do jeito que você faz, indo verificar quem você desconfia, se habilitar o acesso via wan pro setup poderá testar algumas coisas.
Ah, se for dupla-polarização não acredite no nível de sinal sem olhar 2 vezes.
Em Ubiquiti está lá o "Signal strenght", aquela barrinha colorida engana muito (Ela mostra tudo azul quando tem só 10dBm de margem, que na prática não dá CCQ de 100%), mas o pior é que ela exibe muito sinal ACIMA do real.
Ó o que já ví: Signal strenght: -60dBm
E abaixo: Chain0 / Chain1 : -62 / -68dBm
Oras... que pinóia de -60 o que, numa polarização o sinal é -68dBm, que pra digamos MCS14 é totalmente ruim!
Uma variação de 3 ou 4dBm entre as polarizações não é um problemão, mas sempre leve a sério o MENOS dos sinais, esse MENOR tem que respeitar uma margem de uns 20dBm com relação a sensibilidade do datarate usado (MCS12 tem sensibilidade de -86dBm em muito equipto, ter -66dBm como mínimo em CADA chain seria o ideal, -68dBm é só 18dBm de margem nesse caso, não é o fim do mundo).
Mas quando tem diferença grande tipo 10 a 12dBm entre as polarizações aí a coisa muda, a CPE pode ter queimado um dos amplificadores (Cada chain tem um), e sinal tão diferente nos chains dá throughput baixo, o radio não consegue usar um datarate por chain, a modulação que usa em um usa no outro, ter 20dBm de margem num chain nesse caso ia implicar ter 32dBm de margem no outro, se tiver isso estaria ok, mas geralmente o pessoal só olha pro "signal strenght" e esquece de ver um eventual sinal insuficiente num dos chains, aí o CCQ cai (Porque o radio perde muitos pacotes na polarização que tem sinal baixo demais, tem que ficar reenviando e isso toma tempo que poderia ser gasto com a conexão dos outros clientes).
Re: MCS automático Ubiquiti
boa noite Rubem, utilizo a 5g13 o que nao entendo é o seguinte tenho cliente aqui que desde de quando abri o provedor esse cliente se conecta nesse pop sempre usei omini e a coneao dele sempre foi boa ccq, sinal, mcs tudo no padrao, só que depois de um certo tempo quando começou a dar esses problemas esse cliente também ficou ruim sendo que não cresceu arvore nem contruiu casa, o problema ocorre apos as 10 da manha ai começa a abaixa o ccq e só volta a melhorar a partir da 10h, 11h da noite ai o ccq sobe tudo por isso acho que não seja reflexo de sinal nem fresnel, o canal que uso são só os permitidos no brasil dfs habilitado tudo certinho e mesmo assim tenho problema, quando troco de canal uns clientes ficam bom chega a ter ccq de 90 mais outros chega a ter 50% já cheguei a ver 42% de ccq ou seja nem navega, um detalhe tbm é que sao todos clientes que fica ruin nesse horario nao é so um ou outro, tenho outros pops com omini e tem poluição menor ai o ccq fica um pouco melhor mais não as mil maravilhas, na serra tenho setorial só que la tem mais 4 torre de provedor a mais próxima 50 metros e a poluição é absurda só que ainda achei um canal que funciona com os ccq com 85% pra cima, um coisa que reparei é que em relação a setorial ou omini o ccq transmissor (setorial para o cliente) fica sempre acima de 95% e em relação conexão (cliente setorial ) fica com o ccq de 50% a 90% por isso julgo poluição, poluição de energia também creio que não pois fica dentro de uma caixa de metal a 6 metros das antenas, quanto a equipamentos rede 100% ubiquit então não tem incompatibilidade de equipto, a opção channel shifting nao possui na firmware 5.5.8.
1 Anexo(s)
Re: MCS automático Ubiquiti
O Airmax tem um tipo de CCQ interno, quando tem reflexo ou zona de fresnel nem tão limpa em 200% (Explico adiante) você vê um Airmax Quality ou Airmax Capacity baixo.
Eu não gosto de Airmax em PtMP porque não dá pra desativar pra testar. Em PTP é comum um Airmax Quality perto de 100%, mas o Capacity logo abaixo está em menos de 50%, e o throughput é pior que com Airmax desativado, em PTP dá pra ativar e desativar pra testar.
Mas enfim, Airmax quality é um bom mostrador da qualidade do sinal, se ele está bem baixo tipo 50% é porque tem problema físico na rede.
Sobre a zona de Fresnel de 200%: O que chamamos de "100% da zona de Fresnel" é na verdade a "PRIMEIRA zona de Fresnel", existe a 2ª, 3ª, 4ª e etc. Existe reflexo sempre, mas reflexo que pega num angulo exato de modo que chegue com poucas perdas no destino é quando está num angulo ideal.
Os softwares pra calculo de PTP mostram uma linha de reflexo as vezes, quando calculam que ela vai gerar incomodo mesmo depois da primeira zona de fresnel, ó o LinkPlanner da Motorola mostrando um:
Anexo 59459
Aqui tem outra:
https://under-linux.org/attachment.p...6&d=1268599698
O RadioMobile mostra isso também. O LinkCalc da Ligo/Intelbras não mostra mas ele mostra sinal mais baixo quando a zona de fresnel não está totalmente limpa.
Em ambiente urbano não se calcula isso, porque nos mapas de satélite não aparecem telhados de casas e empresas, nem precisa calcular, só precisa lembrar que isso existe. Na duvida pode apontar a CPE uns 1 ou 3° mais pra cima, pro céu, pra diminuir o ganho do sinal refletido em algo abaixo (Um telhado mais a frente, 5m abaixo digamos). É o famoso "reposicionar a antena", coisa boba tipo centímetros acima ou abaixo no mastro e 1 ou 2° de inclinação pra cima podem ajudar, minimizando o sinal que chega por reflexo.
Se até fora da zona de fresnel pode ter incomodos, imagina dentro dela!
Agora sobre as NS trocadas por Airgrid, porque isso? Basestation Airmax é dupla-polarização, usar Airgrid nelas desperdiça demais a capacidade, teria que colocar umas na V e outra na H pra distribuir o "peso", mas o problema é que o radio terá que gastar o dobro do tempo com cada cliente, afinal um MCS4 tem METADE do throughput que MCS12 (E ambos são a mesma modulação 16QAM), o cliente navegando pede um pacote de 3MB pro browser carregar, pra passar o mesmos 3MB o AP vai fazer o dobro de conexões rumo ao Airgrid, que se fosse rumo ao um Nanostation (Loco ou não) por conta da dupla-polarização do NS.
O grande problema de um monte de Airgrid rumo a setorial dupla-polarização é: Airgrid na vertical transmitindo 40dBm EIRP, o sinal cai 100dBm em menos de 1Km, chega -60dBm no ar. A vertical da setorial vai pegar esse sinal e dar ganho de 20dBi, vai pra -40dBi, até aí ok (Sinal alto demais, é alguém gritando, mas vamos deixar de lado), o problema é que a polarização HORIZONTAL tem 22dBi de isolamento, ela pega esse não em -60dBm, mas em -60 - 22 da rejeição, que dá -82dBm, só que ela ainda tem ganho, de 20dBi, aí o sinal volta pra -62dBm. O MESMO sinal está no ADC da vertical em -40dBm, e no ADC da horizontal como -62dBm, os 2 ADC's vão gastar processamento, o chipset vai ter que processar isso.
PTP bom é PTP com antena que tem rejeição/isolamento entre polarizações de uns 30 a 35dBm, um sinal de -60dBm na saída da antena (Já com o ganho incluso) numa polarização está em apenas -95dBm na outra, e -95 está abaixo da sensibilidade então nem é legível.
Ideal é setorial DP com com CPE DP, e setorial singlePol com CPE singlePol. Como o espectro já está bem ocupado, ideal é usar apenas pol. dupla, afinal o throughput por canal de 20MHz é o DOBRO do que com polarização simples (Ou seja, pol. simples desperdiça espectro, que anda escasso, só acho aceitável usar pol. simples na area rural).
(Ah, reflexo em 100-200% da zona de fresnel ocorre pelo chão mas também pode objetos nas laterais, polariz. vertical sofre MAIS com reflexo no chão, e polariz. horizontal sofre mais com reflexo pelas laterais, um sinal -58/-62 pode indicar que a zona de fresnel na vertical está limpa mas que na horizontal não (Ou pode ser diferença de ganho conforme polarização e canal usado, pra tirar a duvida só vendo com os olhos como está a visada e reposicionar antena).
Re: MCS automático Ubiquiti
pra tirar a duvida como você disse que se o airmax tiver ligado e a qualidade do airmax estiver abaixo de 50% pose se problema físico na rede, peguei um cliente que usa nanostation loco m5 com sinal de 51dbm, airmax quality e capacity 99%, noise flor -91%, Tx e RX 130Mbps e o maldito ccq varia entre 59% a 82% isso agora de manha a tarde piora mais, e outra o tx rx dele esta baixo assim porque estou sando 20mhz para teste para ver se melhora e mesmo assim não resolveu nessas condições o que voce acha que ainda pode ser feito?.
2 Anexo(s)
Re: MCS automático Ubiquiti
130M é o datarate de MCS15, o maior datarate possível, e ele exige sinal muito bom.
Testa fixar o Max TX Rate de todos os clientes bem baixo tipo MCS10, isso vai limitar o upload deles a uns 20Mbps (E duvido que venda sequer 2Mbps de upload), ou seja, MCS10 como Max TX Rate nos clientes não é nada restritivo.
A torre pode ficar com Max TX Rate em MCS12, mas o cliente deve estar abaixo disso, recomendo MCS10 se trabalhar com sinal tipo -50 a -65dBm.
MCS15 (130M) usa modulação em 64QAM, são 64 pontos no diagrama, é bem fácil essa modulação ter qualidade medíocre em ambiente poluído, testa MCS12 que é um 16QAM, são só 16 pontos, mais difícil ter problemas.
Com 16QAM um sinal fica bem legível mesmo com SNR pequeno:
Anexo 59464
Com o mesmo SNR um 64QAM tem tantos pontos na constelação que o ponto onde o radio define se o ponto pertence ao quadrante da esquerda ou direita é meio perdido:
Anexo 59465
Nesse exemplo acima uns pontos estão fora ou na borda de cada quadrante, o radio acaba entendendo que uns pontos são do quadrante A quando na verdade são do B, esse dado é analisado errado e gera a perda do pacote inteiro, precisa reenviar o pacote e então o CCQ não chega a 100%.
64QAM exige SNR alto tipo 35dB (Enquanto 16QAM exige só 22dB de SNR) porque são mais dados na constelação, precisa uma "definição" maior pro radio conseguir separar direito qual ponto é de qual quadrante. Eu não uso MCS13 a MCS15 com sinal abaixo de -50dBm (Tipo -55dBm).
(A sensibilidade de MCS15 é -75dBm na maioria dos equiptos, 20dBm de margem daria -55dBm, mas pra 64QAM só ví CCQ de 100% com margem de 25dBm)
1 Anexo(s)
Re: MCS automático Ubiquiti
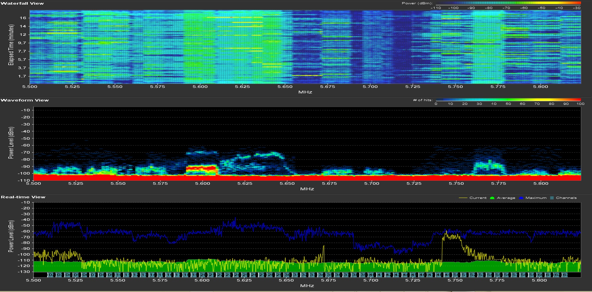
rubem fiz o teste que me pediu e melhorou um pouco mais ainda tem cliente com ccq de 82% agora de manha e duvido que não piore a tarde, ja estou ficando sem opções para resolver o problema, da uma olhada no meu spectrum que estou tendo problema.Anexo 59489
Re: MCS automático Ubiquiti
Citação:
Postado originalmente por
emanuelnet
rubem fiz o teste que me pediu e melhorou um pouco mais ainda tem cliente com ccq de 82% agora de manha e duvido que não piore a tarde, ja estou ficando sem opções para resolver o problema, da uma olhada no meu spectrum que estou tendo problema.
Anexo 59489
Bom exemplo de uso ruim do espectro. O canal de 5725MHz está vazio, e nesse canal é legal o uso de 36dBm EIRP. Mas... onde tem sinal mais alto (Indicando uso de potencia alta) é na faixa dos 5600MHz, onde o limite legal é 27dBm EIRP.
Está com todos os clientes usando um Max TX Rate baixo tipo MCS10 ou menos?
E não achei isso um ambiente muito poluído, os sinais consistentes chegam abaixo de -70dBm só em 3 ou 4 canais, é só ficar fora deles, tem praticamente 4 canais de 20MHz sem nada consistente acima de -90dBm, estão muito bons. Me parece que o problema é outro e não ruído, alguma falta de capacidade de processamento pra tanto dado (Gerado por um cliente com CPE problemática, ou por reflexo em algo do lado da torre), eu partiria pra essa verificação, deixando de lado por ora a possibilidade de ser problema de RF.
(Aumentar ack-timeout nos clientes duvido que ajudaria muito, colocar um valor fixo e maior que o real em TODOS deve ajudar muito pouco, acho que é caso de verificar uns desses CCQ's de 80-90%)
Mas se são 70 clientes simultaneos, já pra pensar em melhorar isso. Rocket pra mim só presta até 40 simultâneos (Idem pra tudo com chipsets Atheros/Qualcomm recentes, seja UBNT ou MK), acima disso a qualidade cai com qualquer bobeira. Alias, com 40 simultâneos eu tinha problema com qualquer passarinho na zona de fresnel, imagina com mais que isso. Numero seguro pra não ter dor-de-cabeça a longo prazo talvez seria 35 simultâneos.
(Conforme o tempo passa os usuário vão ficando cada vez mais tempo online, foi-se o tempo que podia ter 100 pagantes e apenas 30 conexões online, hoje é mais fácil ter 100 pagantes e 80 online, seja navegando mesmo ou com Windows ligado e no maldito/noob default com atualizações rodando e serviços de rede fazendo requisição na rede, ainda se fossem inteligentes pra usar P2P...)
Re: MCS automático Ubiquiti
essa frequencia que esta livre 5725 é porque ela nao aparece nos rockets selecionando o pais brasil e se eu mudar para outro pais os clientes estao todos em brasil e para eles também nao aparece entao esses não irá conectar, os clientes coloquei mcs 10 e a rocket em mcs12 conforme me indicou e subiu apenas 3 pontos em ccq, nao sei se tem relação mais meus problemas comecaram depois dessas novas airgrids, se eu colocar um airgrid antiga ficava bom com as novas o ccq ficava ruim e o tx fica em 6.5 rx em 150 ou seja a transmissor esta ruim a recepção boa.
Re: MCS automático Ubiquiti
Das airgrid antigas pra nova que eu saiba mudou no AirOS o "datarate module", tem a opção alternative, é um algoritmo de tomada de decisões diferente, algoritmos diferentes tem comportamentos diferentes mas sei lá se seria tanto a ponto de comprometer uma rede toda.
Mas se são muitos Airgrid, tem alguns na vertical e alguns na horizontal? Isso faria o Rocket usar o chain0 pra uns e o chain1 pra outros, diminui um pouco o numero de dados pro ADC converter, e um pouco o numero de pacotes chegando ao mesmo tempo na mesma polarização.
Essa opção (Alguns em V e alguns em H) não muda o mundo porque as setoriais basestation tem só 20-22dB de isolamento entre as polarizações, um sinal -60dbm em H seria lido com -80 a -82dBm no chain da vertical, mas um pouco de melhoria deve dar.
Experimenta no Rocket e nos Airgrid novos mudar o "Datarate module", se está em alternative passa pra default, ou o contrário. Em teoria um algoritmo mais novo é mais eficiente, o mais novo no caso seria o "alternative", mas talvez alguns usando ele e alguns usando o default (Nos Airgrid antigos, com AirOS antigo) estão gerando processamento demais ou perdas de pacotes pro Rocket.
Eu que não ponho minha mão do fogo por "software mais moderno", prefiro os bugs de fábrica porque já são conhecidos, do que os bugs criados por atualizações/updates ("Morte do WindowsUpdate!").
E sobre os 5725, tá certo, me enganei, pode usar 36dBm EIRP somente acima de 5725MHz, ele não pode ser o centro do canal (Se o centro fosse 5725 o canal de 20MHz iria de 5715 a 5735MHz). Pode usar ele legalmente no brasil mas só com 27dBm EIRP e somente com DFS ativo. Talvez se ativar DFS e salvar o canal apareça na lista, mas a legislação no brasil permite o uso:
http://www.anatel.gov.br/legislacao/...-resolucao-506
(Seção X, 5470 a 5725MHz, como não tem TPC em UBNT, o limite EIRP é de 500mW "excepcionalmente)
Isso deve parece bobeira do programador que coletou a legislação mundial, essa resolução acima é de 2008, mas até hoje a Mikrotik quando seleciona o brasil não permite canal acima de 5700MHz por default, eu até não acho ruim porque não se pode esperar que alguém na Letônia (Terra da MK) fale portugues, mas a Ubiquiti já teve tudo certinho (Conforme a res. 506 da Anatel), só recentemente ela está mostrando 5180-5320 e depois pulando pra 5725-5825MHz no firmware, é bobeira recente (E nunca testei se tem relação com DFS ativo ou não, mas curiosamente a faixa que ele não exibe é onde DFS é obrigatório)
Re: MCS automático Ubiquiti
então foi só uma duvida essa opção nunca usei porque nunca soube pra que servia posso testar, quando a polarização todas as airgrids estão na polarização vertical (grade) não imaginava que forçava apenas um canal mais só pensar um pouquinho que o raciocínio é lógico, a frequência 5725 não habilitou de maneira alguma aqui testei a potencia de 20dbm e 27 dbm dfs sempre fica habilitado e não ativou acho que aqui foi erro de programação já que no Brasil é permitido o uso dessa frequência normal, resolvi fazer um teste aqui tirar a omini e colocar 3 setorial ai dividiu os clientes colocou cada setorial em uma frequência aparentemente melhorou um pouco mais tenho que acertar o sinal dos que ficou ruim, então você acha que se mudar um pouco das airgrids e nas novas airgrids mudar para alternative deve melhorar? e quanto a opção alternative das antenas antigas e do rocket deixa em default mesmo?
Re: MCS automático Ubiquiti
Só tenho prática em UBNT em PTP, neles o datarate module alternative dá uma melhor no throughput. Mas... em PTP geralmente usamos equiptos de mesma geração (Ou todos tem essa config. ou não tem).
No seu caso como só os novos tem, eu deixaria em default por enquanto, todos em default (Porque os que não tem essa config. devem ficar assim, no algoritmo default).